En Venta
DOBLE LOTE EN VENTA - FLORESTA
Código: 199452

Segurola 100, C1407 Cdad. Autónoma de Buenos Aires, Argentina, Floresta, Capital Federal, Argentina.

USD650.000

Lote
Compartir esta Propiedad

Descripción de la Propiedad

Terreno - Venta - Argentina, Capital Federal -

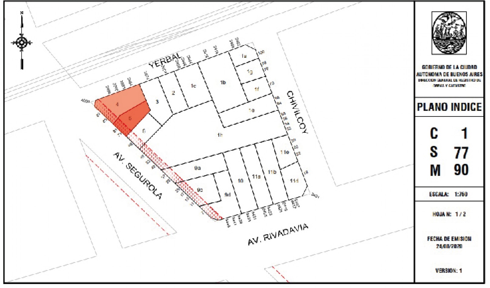
AV. SEGUROLA, ESQ. YERBAL

Venta 2 LOTES JUNTOS ubicados en esquina, sobre Av Segurola 83 y Yerbal 3984, intersercción de Av Segurola y Mercedes, gran trafico de gente, en zona CONSOLODIDA.

Sobre Avenida con todo tipo de comercios, a una cuadra de Av Rivadavia,CENTRO COMERCIAL. Velez Sarsfield, con bancos, 2 farmacity, restaurants, teatros, todo tipo de comercios, lìneas de COLECTIVOS, a una cuadra de la estaciòn de TREN linea Sarmiento, estaciòn "Floresta", a 5 min del SUBTE linea A, a 5 min del METROBUS. ZONA MUY CONECTADA!

TOTAL= 478M2 DE LOTE, uno de 153m2 + otro de 325m2.

CORREDOR: USAA (Unidad de sustentabilidad Alta)= PB + 7 PISOS + 2 RETIROS, 22,80M DE ALTURA

NO LO PIENSE MÀS DESARROLLADOR! NO DUDE EN CONSULTARNOS!

COMERCIALIZAN EN CONJUNTO:

OLMOS PROPIEDADES AV RIVADAVIA 8240 CABA ERNESTO SCAFIDI CUCICBA 1759

LEANDRO MIGUEL PROPIEDADES TONELERO 6848 CABA LEANDRO MIGUEL CUCICBA 6331

Legal: Las descripciones arquitectónicas y funcionales, valores de expensas, impuestos y servicios, fotos y medidas de este inmueble son aproximados. Los datos fueron proporcionados por el propietario y pueden no estar actualizados a la hora de la visualización de este aviso por lo cual pueden arrojar inexactitudes y discordancias con las que surgen de las facturas, títulos y planos legales del inmueble. el interesado deberá realizar las verificaciones respectivas previamente a la realización de cualquier operación, requiriendo por sí o sus profesionales las copias necesarias de la documentación que corresponda. Venta supeditada al cumplimiento por parte del propietario de los requisitos de la resolución general N° 2371 de la AFIP (pedido de COTI).
En cumplimiento de las leyes vigentes que regulan el corretaje inmobiliario, Ley Nacional 25.028, Ley 22.802 de Lealtad Comercial, Ley 24.240 de Defensa del consumidor, las normas del código Civil y Comercial de la Nación y Constitucionales, los agentes /gestores No ejercen el corretaje inmobiliario. Todas las operaciones inmobiliarias son objeto de intermediación y conclusión por parte de los martilleros y corredores colegiados, cuyos datos se exhiben debajo del nombre de la inmobiliaria.
Matricula CUCICBA N° 6331

Mas detalles